family CERAMBYCIDAE Latreille, 1802

subfamily CERAMBYCINAE Latreille, 1802

tribe Clytini Mulsant, 1839

genus Cyrtoclytus Ganglbauer, 1882

 

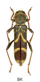
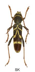
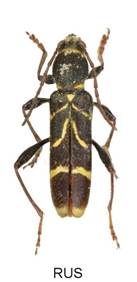
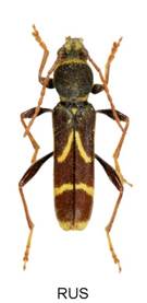
Cyrtoclytus capra (Germar, 1824)

aaa SK.JPGaab RUS.jpgaac RUS.jpgaba SK.JPGabb SK.jpg

Velikost 8-15 mm.

Bionomie. Smíšené porosty na místech původních přírodně bohatých listnatých lesů. Podle Demelta (1966) vývoj v 3 - 5 cm silných kmíncích stromů na jižně exponovaných svazích. Larvy žijí ve dřevě blízko u země s nutnou vlhkostí, kde se také kuklí. Vývoj dvouletý. Podle Čerepanova (1982) žijí larvy nejprve pod kůrou, po prvém zimování vstupují hlouběji do dřeva a po druhém zimování se kuklí v povrchové vrstvě dřeva. Vývoj udává též dvouletý. - Imaga se vyskytují v VI.-VIII., maximum VII. Za slunečného počasí imaga na různých květech, Rosa, Rubus, Apiaceae aj.

Živné rostliny - Acer platanoides; Alnus, Carpinus, Quercus, Ulmus, Salix caprea, Padus, Fraxinus, Pyrus aj.

Variabilita. Žluté pásky na krovkách jsou často redukovány, vzácně se rozšiřují.